By Anna Forbes and Jade Hemsley, Trainee Research Assistants
Learning about bats on arable farmland in Hampshire and Dorset, or as we like to call it, AgriBats, is an ambitious new project we are undertaking at the Game & Wildlife Conservation Trust. Over the next year, we will be working with 15 farms across Hampshire and Dorset to find out which habitats on farmland are attractive to bats. This exciting project is funded by a generous grant from the Heritage Lottery Fund.
Bat-ground on bats
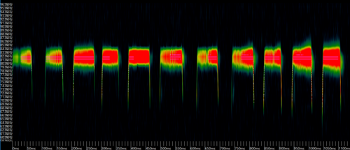
Bats account for nearly a quarter of British mammals and are unique in their ability to fly. There are about 1,240 bat species worldwide, only 18 of which are known to live in the UK. These species eat insects such moths, midges and beetles and hunt for insects at night using a high frequency navigation system called echolocation. Echolocation is also known as biological sonar, because the bat emits calls out to its surroundings and listens to the echoes of those calls to build up a sonic map of their environment. Each bat species can be identified according to its echolocation call characteristics, such as call duration and call frequency.

Greater horseshoe bat (Rhinolophus ferrumequinum) call sonogram. Call characteristics differ considerably among species and can consist of smack, warble, click and tick-like sounds.
Why study bats?
Bats provide valuable ecosystem services, such as pest management, yet little is known about which farmland habitats help to support bat populations. Bat populations declined significantly in the UK during the second half of the 20th century; these declines were in part due to agricultural intensification. We hope to establish exactly which habitats on arable land are attractive to bats today, with a view to contributing to the understanding of their foraging requirements.

One of our automated acoustic bat detectors. The Song Meter SM3BAT can record up to 700 hours of bat echolocation call data. Bumble bee not included!
How will we help support the UK’s bat population?
We are carrying out a scientific study to monitor bat activity on arable farmland. In particular, we are interested in the use of agri-environmental scheme (AES) habitats by foraging bats. AES sites provide specific habitats that support farmland birds, yet the schemes do not directly aim to support bat populations. The farmland management options that the study will focus on are, however, designed to encourage a range of invertebrates to forage on plots, thus providing vital food resources for birds and, in turn, perhaps bats? By monitoring their activity at different sites, we can better understand the value of AES habitats to foraging bat species.
We will carry out surveys on farms that implement the following AES scheme options: wild bird seed mix, pollen and nectar mix, grass margins and wildflower margins. These habitats support an abundance of insects and may provide vital habitats for bats to forage in. We will take vegetation assessments and insect samples to understand if bats are using these habitats to navigate and/or forage. To monitor which species of bats are present at each site, we will use automated acoustic bat detectors, which record the echolocation calls emitted by bats. The results we obtain from the study will help inform how arable land can be managed in a way that is beneficial for bat species.
The fieldwork team behind AgriBats
Fieldwork team based at the GWCT’s headquarters in Fordingbridge, Hampshire. From left: Anna Forbes (Trainee), Sophie Potter (Research Assistant), Dr Niamh McHugh (Project Lead), Jade Hemsley (Trainee).
You can find out more on the project's website. We will continue to post further blogs as the project develops. You can also stay up to date with the latest AgriBats goings-on by following our Twitter page: @AgriBats